
ウインズタウン神戸みずき台|商業店舗・クリニック テナント募集
神戸垂水山手に新しく約600の世帯が住む街が出来ていっています。この街と周辺住民の利便施設として、ウインズタウン神戸みずき台の一角が商業・医療ゾーンとして誕生します。新たな出店や開業、既存店や既存クリニックの移転を検討しませんか。
詳細は、末尾記載の「お問合せ・資料請求」よりお気軽にご連絡ください。
または、078-230-2833(担当:出水 デミズ)まで、お電話ください。
ウインズタウン神戸みずき台|概要
■ウインズタウン神戸みずき台全体概要
事業名称:神戸市名谷町社谷土地区画整理事業
所在地:兵庫県神戸市垂水区みずき台1595-1(底地番)他
交通:山陽本線「山陽垂水」駅へ、山陽バス・神戸市バス「桃山台」バス停まで徒歩6分~10分、バス乗車16分「垂水東口」バス停下車徒歩5分
開発総面積:213,851.57m2
地目:仮換地:宅地 保留地:無し(換地処分後、宅地予定。換地処分予定:令和6年9月末予定)
総区画数:589区画

ウインズタウン神戸みずき台|新規道路開通!
名谷下畑線と神明道路(旧神明)をつなぐ道路が開通しました。
桃山台・つつじが丘方面の車とジェームス山方面の車が交わる「桃山台交差点」は、慢性的な渋滞エリアとなっていました。
神戸みずき台の中心を貫く新しい道路の完成で、桃山台・つつじが丘方面の車の流れが緩和され、特に西方面の車の流出入が大きく変わります。

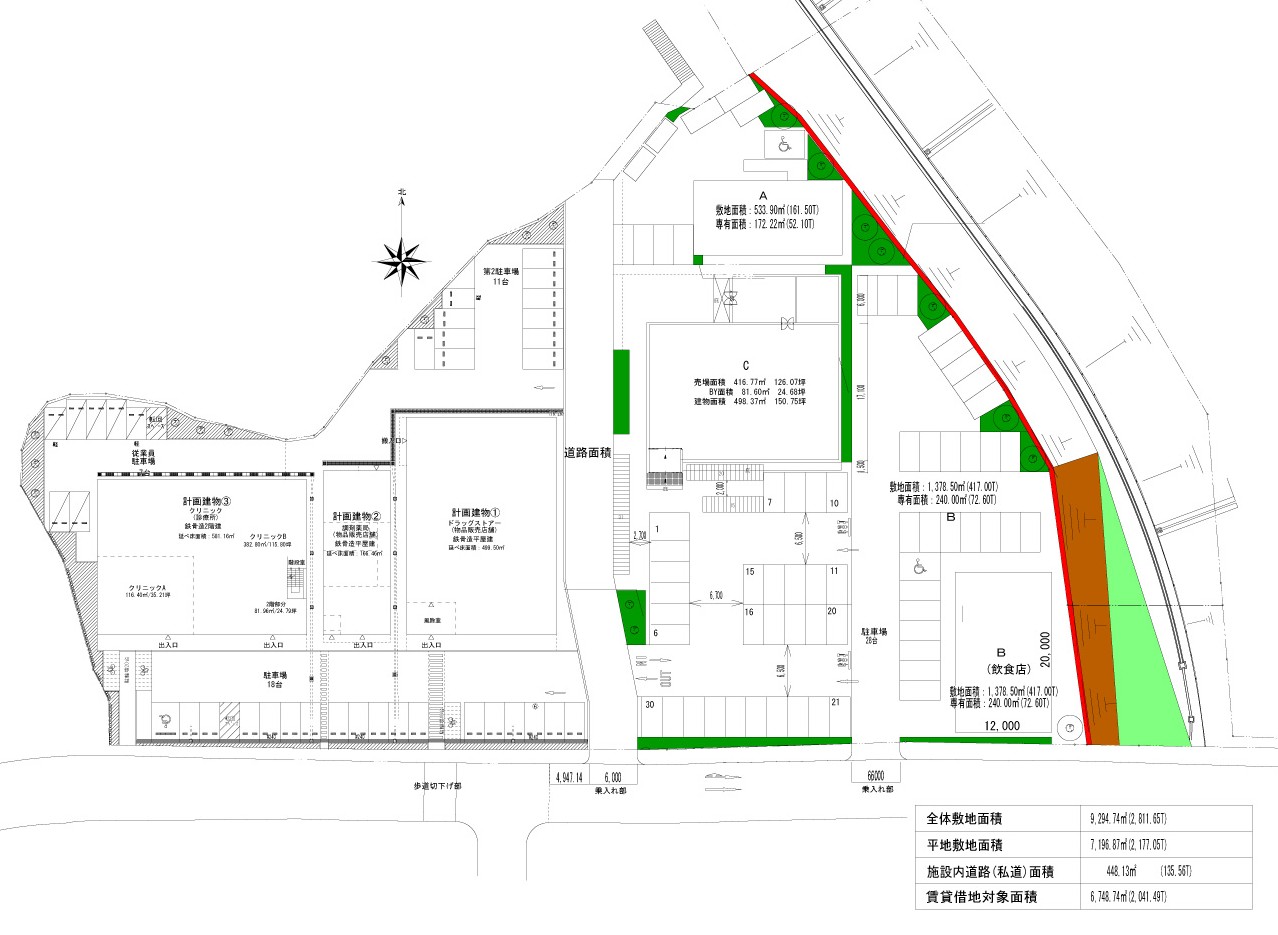
ウインズタウン神戸みずき台|商業店舗・商業施設、医療施設・クリニック募集概要
物件所在地:兵庫県神戸市垂水区みずき台1595-1(底地番)他
敷地面積:9,294.74㎡(2,811.65坪)
地目:宅地
用途地域:第1種中高層住居専用地域
建蔽・容積率:60/200%
現況:更地、造成工事完了済み
道路:公道12m・間口32m・接道幅32m
契約形態:事業用定期借地・事業用定期借家
地代・共益費:相談
敷金:6か月
契約期間:20年まで
借地地主:パナソニックホームズ株式会社
その他:仲介手数料・企画料要


ウインズタウン神戸みずき台|まちコンセプトより

お問合せ・資料請求
テナントについてのお問い合わせ・資料請求は、株式会社大和ファシリテイーズ、下記のメールフォームまはた、末尾の電話番号までお願いいたします。


